Back to home
Filipiny

Pomoc dla ofiar tajfunu Haiyan

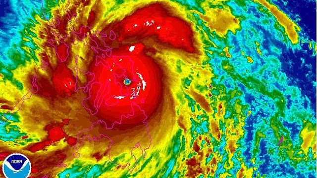
8 listopada, około godziny 4.45 nad ranem lokalnego czasu Super Tajfun Yolanda (Haiyan) uderzył w centralną część Filipin, Visaya. Był to prawdopodobnie najpotężniejszy zarejestrowany tajfun jaki kiedykolwiek spustoszył ląd. Zginęło co najmniej 5 TYSIĘCY osób, a setki tysięcy osób pozbawił dachu nad głową i dorobku całego życia.

Haiyan

FILIPINY POTRZEBUJĄ POMOCY!

Stały wiatr w centrum wynosił 240 km/h, w porywach osiągając nawet prędkość 380 km/h, niszcząc wszystko co napotkał na swojej drodze. Jego siła była odczuwalna nawet 240 kilometrów od oka cyklonu. Dodatkowo towarzyszyły mu silne opady deszczu. Tajfun przysłonił prawie dwie trzecie kraju, rozprzestrzeniając się na szerokość 1800 kilometrów. O nadchodzącym potężnym zagrożeniu informowano już tydzień przed uderzeniem. Ponad 750 tysięcy ludzi zostało ewakuowanych. W 58 prowincjach ogłoszono alarm, w 10 z nich najwyższego stopnia. Wstrzymano ruch morski i powietrzny nad całym krajem.
W wyniku żywiołu najbardziej ucierpiały wyspy Samar i Leyte na wschodzie kraju, a także północne Cebu, Malapasqua, Iloilo oraz Coron. Do pomocy wezwano jednostki wojskowe. Z ich doniesień wiadomo, że w samym mieście Tacloban na wyspie Leyte zginęło co najmniej 1000 osób, w sumie jednak szacuje się na 10 TYSIĘCY. Jak raportował porucznik Centralnego Dowództwa Sił Zbrojnych na Filipinach Jim Alagao, żołnierze odnajdywali ciała leżące na ulicach przywalone słupami i drzewami, które wcześniej wywiało z rozpadających się domów. Ostre opady deszczu i nadzwyczajne wiatry spowodowały zerwanie dachów i zawalenie się budynków, zalanie dróg, osunięcia ziemi oraz lawiny błotne. Wiadomo już, że zrównanych z ziemią zostało 70-80% budynków znajdujących się na drodze tajfunu. Ucierpiało około milion filipińskich rodzin.  Nie można jeszcze oszacować dokładnie liczby ofiar i szkód ze względu na brak łączności z wyspami.

KAŻDY MOŻE POMÓC! LICZY SIĘ TYLKO DOBRA WOLA! 

Każda złotówka, która popłynie teraz w kierunku Filipin jest na wagę złota!
 
Zaprzyjaźnieni blogerzy z NA FILIPINACH pracują w Fundacji „Youth for Sustainable Development Assembly”, dzięki której mogą dotrzeć z pomocą do osób poszkodowanych przez tajfun Yolanda (Haiyan). Jeśli ktoś chciałby przelać nawet małą kwotę, niech będzie pewny, że trafi ona we właściwe ręce!
 
Prosimy Was o przelewy na oficjalne konto Fundacji YSDA przez PAYPAL:

 

PayPal

lub tradycyjnym przelewem:

YSDA Inc.
Nr konta: 1883-1083-09
Bank of the Philippine Island
0188 Pasang Tams.
La Fuerza branch
SWIFT: BOPI PHMM
Pomóż i podaj informację dalej. Dziękujemy w imieniu Filipińczyków!
By Pojechana, 10 listopada 2013 Człowiek od rzeczy niemożliwych, menadżerka, przedsiębiorczyni, dziennikarka, joginka, pasjonatka podróży, miłośniczka wody i gór. Laureatka Travelerów National Geographic Polska w kategorii Blog Roku. Odwiedziła ponad 50 krajów, mieszkała w Anglii, Chinach, Francji i Hiszpanii. W czerwcu 2015 ukazała się jej debiutancka książka "Laowai w wielkim mieście. Zapiski z Chin".
  • 3

Pojechana

Człowiek od rzeczy niemożliwych, menadżerka, przedsiębiorczyni, dziennikarka, joginka, pasjonatka podróży, miłośniczka wody i gór. Laureatka Travelerów National Geographic Polska w kategorii Blog Roku. Odwiedziła ponad 50 krajów, mieszkała w Anglii, Chinach, Francji i Hiszpanii. W czerwcu 2015 ukazała się jej debiutancka książka "Laowai w wielkim mieście. Zapiski z Chin".

3 Comments
Dodaj komentarz

Twój adres e-mail nie zostanie opublikowany. Wymagane pola są oznaczone *